| |
 |
 |
 |
| |
Berberis vulgaris L.
|
Barberry
|
Berberidaceae
|
| |
 |
| |
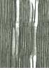
Transversal section |
|
|
| |
Ring-porous to semi-ring-porous. Growth ring boundaries undulating. Earlywood pore ring discontinuous. Latewood pores and vascular tracheids in clusters with a diagonal to dendritic orientation. Parenchyma diffuse, apotracheal. |
|
| |
| |
Radial section |
|
|
| |
Simple perforation plates. Distinct spiral thickenings in vessels and vascular tracheids. Homogeneous rays, occasionally heterogeneous with one or two enlarged marginal cells. Libriform fibres present, fibre-tracheids absent. |
|
| |
| |
Tangential section |
|
|
| |
Rays 5- to 7-seriate, rarely narrower or wider, very rarely uniseriate rays. Sheath cells occasionally present. Ray height up to 10 mm. |
|
| |
| |
Key characters |
|
|
| |
Ring-porous. In latewood clusters of pores and vascular tracheids with a diagonal to dendritic orientation. Wide, high rays, generally homogeneous. Simple perforation plates, spiral thickenings. |
| |
|