| |
 |
 |
 |
| |
Clematis vitalba L.
|
Old mans beard, Travellers joy
|
Ranunculaceae
|
| |
 |
| |
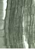
Transversal section |
|
|
| |
Ring-porous. Earlywood pores generally solitary and very large. In the mostly relatively narrow latewood zone, pores are small, in clusters. Growth ring boundaries often indistinct, festoon-like. Apotracheal and paratracheal parenchyma. |
|
| |
| |
Radial section |
|
|
| |
Rays 5- to 15-seriate, occasionally up to 20 cells wide. Sheath cells generally present. Ray height often over 100 mm. |
|
| |
| |
Tangential section |
|
|
| |
Simple perforation plates. Spiral thickenings in narrow vessels. Heterogeneous rays. Occasionally some to many rows of square and upright marginal cells. Apertures of the pits in large vessels often coalescent, slit-like. Vascular tracheids and libriform fibres present. |
|
| |
| |
Key characters |
|
|
| |
Ring-porous. Growth-ring boundaries festoon-like. Very wide rays. |
| |