| |
 |
 |
 |
| |
Lonicera nigra L.
|
Black Honeysuckle
|
Caprifoliaceae
|
| |
 |
| |
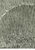
Transversal section |
|
|
| |
Semi-ring- to diffuse-porous. Earlywood pore ring always only one to two pores wide. Pores generally solitary, rarely in small groups or clusters. Growth ring boundaries distinct, marked by abrupt transition in pore size from late- to earlywood. In heartwood pores and fibre-tracheids often yellow-brown gum deposits. Ground tissue in latewood thick-walled. Upright ray cells in transverse section square, only slightly larger than ground tissue cells. Diffuse apotracheal parenchyma. |
|
| |
| |
Radial section |
|
|
| |
Simple perforation plates. Delicate spiral thickenings in vessels and fibre tracheids. Multiseriate rays conspicuously heterogeneous with up to 10 rows of square and upright marginal cells, inner cells procumbent. Ray-vessel pits slightly enlarged. Only fibre-tracheids, no libriform fibres. |
|
| |
| |
Tangential section |
|
|
| |
Uni- to tri- or rarely 4-seriate rays. Cells in uniseriate rays axially rectangular. Marginal cell rows in multiseriate rays axially rectangular, inner cells distinctly smaller, round to oval. Average height of multiseriate rays: 8 to 15 cells. |
|
| |
| |
Key characters |
|
|
| |
Semi-ring-porous. Simple perforation plates. Rays extremely heterogeneous. Spiral thickenings. |
| |
| |
Remarks |
|
|
| |
The wood of the different Lonicera species cannot actually be differentiated on the basis of wood anatomy. Sometimes, but extremely rare, scalariform perforation plates can be observed. |
| |