| |
 |
 |
 |
| |
Pinus Cembra L.
|
Cembran Pine, Swiss Pine, Stone Pine
|
Pinaceae
|
| |
 |
| |
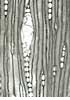
Transversal section |
|
|
| |
Growth ring boundaries inconspicuous, often undulated, especially near resin canals in latewood. Latewood zone always narrow, tracheids uniformly thin-walled. Transition from early- to latewood gradual. Large resin canals with thin-walled epithelial cells. |
|
| |
| |
Radial section |
|
|
| |
Tracheid pits almost uniseriate. Rays heterocellular. Walls of ray tracheids thin and smooth. Cross-fields with one to two (rarely up to 3) fenestriform pits. |
|
| |
| |
Tangential section |
|
|
| |
Average ray hight of rays 5 to 15 cells. Resin canals in rays with thin-walled epithelial cells. |
|
| |
| |
Key characters |
|
|
| |
Resin canals with thin-walled epithelial cells. Rays with large fenestriform pits, ray tracheids with thin, smooth walls. |
| |
| |
Remarks |
|
|
| |
This species cannot be distinguished from Pinus strobus on the basis of wood anatomy. |
| |