| |
 |
 |
 |
| |
Pinus Strobus L.
|
White Pine
|
Pinaceae
|
| |
 |
| |
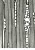
Transversal section |
|
|
| |
Growth ring boundaries inconspicuous, often undulated, especially near resin canals in latewood. Latewood zone always narrow, tracheids uniformly thin-walled. Transition from early- to latewood gradual. Large resin canals with thin-walled epithelial cells. |
|
| |
| |
Radial section |
|
|
| |
Tracheid pits almost uniseriate. Rays heterocellular. Walls of ray tracheids thin and smooth. Cross-fields with one to two (rarely up to 3) fenestriform pits. |
|
| |
| |
Tangential section |
|
|
| |
Average ray hight of rays 5 to 15 cells. Resin canals in rays with thin-walled epithelial cells. |
|
| |
| |
Key characters |
|
|
| |
Resin canals with thin-walled epithelial cells. Rays with large fenestriform pits, ray tracheids with thin, smooth walls. |
| |
| |
Remarks |
|
|
| |
Pinus strobus was introduced into Europe in the 17th century and has been widely propagated since the 19th century. This species cannot be distinguished from Pinus cembra on the basis of wood anatomy. |
| |