| |
 |
 |
 |
| |
Quercus petraea Liebl.
|
Sessil Oak
|
Fagaceae
|
| |
 |
| |
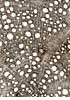
Transversal section |
|
|
| |
Ring-porous. Earlywood ring with one to many rows of pores, more or less compact. Latewood pores solitary or in radially orientated to dendritic groups, especially in wide growth rings. Pore density in latewood sparse to dense. In the heartwood tyloses in the vessels of earlywood. Libriform fibres thick-walled, in irregular patches. Apotracheal parenchyma either diffuse or in uniseriate diagonal and tangential bands, frequency variable. Broad rays visible to the naked eye. |
|
| |
| |
Radial section |
|
|
| |
Simple perforation plates. Homogeneous rays, sometimes with square cells in uniseriate rays. Prismatic crystals more or less frequent, solitary or in chains in the broader rays and in axial parenchyma. Apertures of ray-vessel-pits enlarged, often oval to slit-like. Libriform fibres and vasicentric tracheids present. |
|
| |
| |
Tangential section |
|
|
| |
Rays uni- and multiseriate. Multiseriate rays up to 1mm wide (up to 30 cells) and up to 5cm high, frequently absent in young shoots. |
|
| |
| |
Key characters |
|
|
| |
Ring-porous, in the latewood oblique to dendritic pore groups. Very wide rays. Pith star-like pentagonal. |
| |
| |
Remarks |
|
|
| |
The wood of the three Quercus species (Q. robur, Q. petraea, Q. pubescens) cannot be differentiated on the basis of their wood anatomy. |
| |
|