| |
 |
 |
 |
| |
Ulmus campestris L.
|
Common English Elm
|
Ulmaceae
|
| |
 |
| |
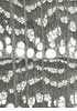
Transversal section |
|
|
| |
Ring-porous, 1 to 3 rows of earlywood-pores. Pores in latewood grouped in more or less long, tangential to oblique, bi- to 4-seriate bands together with vascular tracheids and parenchyma. Occasionally tyloses in earlywood. Groundtissue thick-walled. Paratracheal parenchyma abundant in earlywood and among vessel groups in latewood. |
|
| |
| |
Radial section |
|
|
| |
Simple perforation plates. Spiral thickenings in vessels, distinct in small vessels. Rays generally homogeneous to slightly heterogeneous with one row of square marginal cells. Libriform fibres and vascular tracheids present. |
|
| |
| |
Tangential section |
|
|
| |
Rays generally 4- to 5-seriate, occasionally narrower or wider. Ray height: 30 to 60 cells. |
|
| |
| |
Key characters |
|
|
| |
Ring-porous. Latewood pores in tangential bands. Rays 4- to 5-seriate. |
| |
| |
Remarks |
|
|
| |
The wood of the three Ulmus species (U. campestris L., U. scabra Mill., U. laevis Pallas) cannot be differentiated on the basis of anatomic characteristics. |
| |