| |
 |
 |
 |
| |
Vitis vinifera L.
|
Grape Vine
|
Vitaceae
|
| |
 |
| |
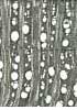
Transversal section |
|
|
| |
Ring-porous, rarely tendence to semi-ring-porous. Earlywood pore ring not continuous, with very large, generally solitary pores. In the latewood pores in radial files and small clusters. Growth ring boundaries undulating, marked by an uni- to triseriate band of radially flattened, thick-walled cells. Tyloses frequent in earlywood pores from the heartwood. Paratracheal parenchyma. Rays occupy a large part of the transverse surface. |
|
| |
| |
Radial section |
|
|
| |
Simple perforation plates in large vessels, Occasionally scalariform perforation plates in small latewood vessels. Rays homogeneous to heterogeneous, often with one to two rows of square to upright marginal cells. Libriform fibres, occasionally septated, present. In the latewood vascular tracheids present. Principally scalariform vessel pits, but numerous transition forms from bordered to scalariform pits present. In enlarged procumbent ray cells raphides present. |
|
| |
| |
Tangential section |
|
|
| |
Multiseriate rays, 5- to 20-seriate. Average ray height more than 2, often up to 5 mm. Rays frequently with faint sheath cells. |
|
| |
| |
Key characters |
|
|
| |
Ring-porous. Rays very wide. Vessels with scalariform pits. |
| |
|